(Image: Japan Meteorological Agency and EUMETSAT)
EVEN from 36,000 kilometres above Earth, typhoon Haiyan makes an unmissable impact. The storm crashed through the central islands of the Philippines on 8 November.
Probably the strongest recorded typhoon ever to make landfall, Haiyan can be seen to the right in this composite image from satellites operated by the Japan Meteorological Agency and EUMETSAT, a European agency that monitors weather and climate. The lights of the Philippines peep out beneath the typhoon, with South-East Asia and India to the left, and Australia to the south. The sun is setting over the Arabian Sea in the far left.
Advertisement
Haiyan produced sustained winds of 269 kilometres per hour, with gusts as strong as 324 km/h. Known in the Philippines as Yolanda, it forced millions of people across the archipelago to take shelter. Some 10,000 people are feared dead as a result of the typhoon, which caused catastrophic damage. The World Food Programme and other relief agencies estimate some 2.5 million people will need assistance. By Monday, Haiyan, downgraded to tropical storm status, had made landfall in north Vietnam, near the Chinese border.
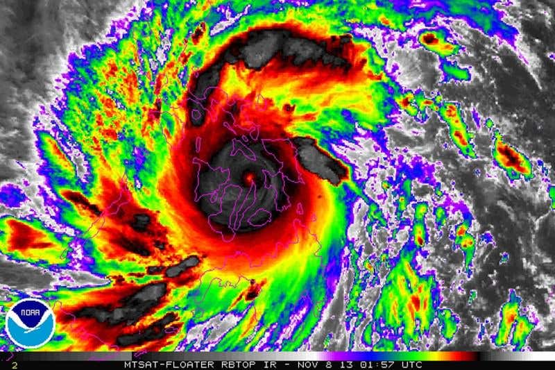
The image below shows an enhanced infrared image taken with the South Korean COMS-1 satellite, used to monitor rainfall and temperatures of weather systems.
(Image: NOAA)
This article will appear in print under the headline “Angry Earth”




